Biotop för myrspov, limosa lapponica
Från 299 kr
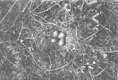
Boplats för myrspov, limosa lapponica
Boplats för långnäbba, limosa melanura
Vår hemsida använder sig av cookies. Genom att fortsätta surfa på sidan godkänner du att vi använder cookies. Klicka här för mer information.